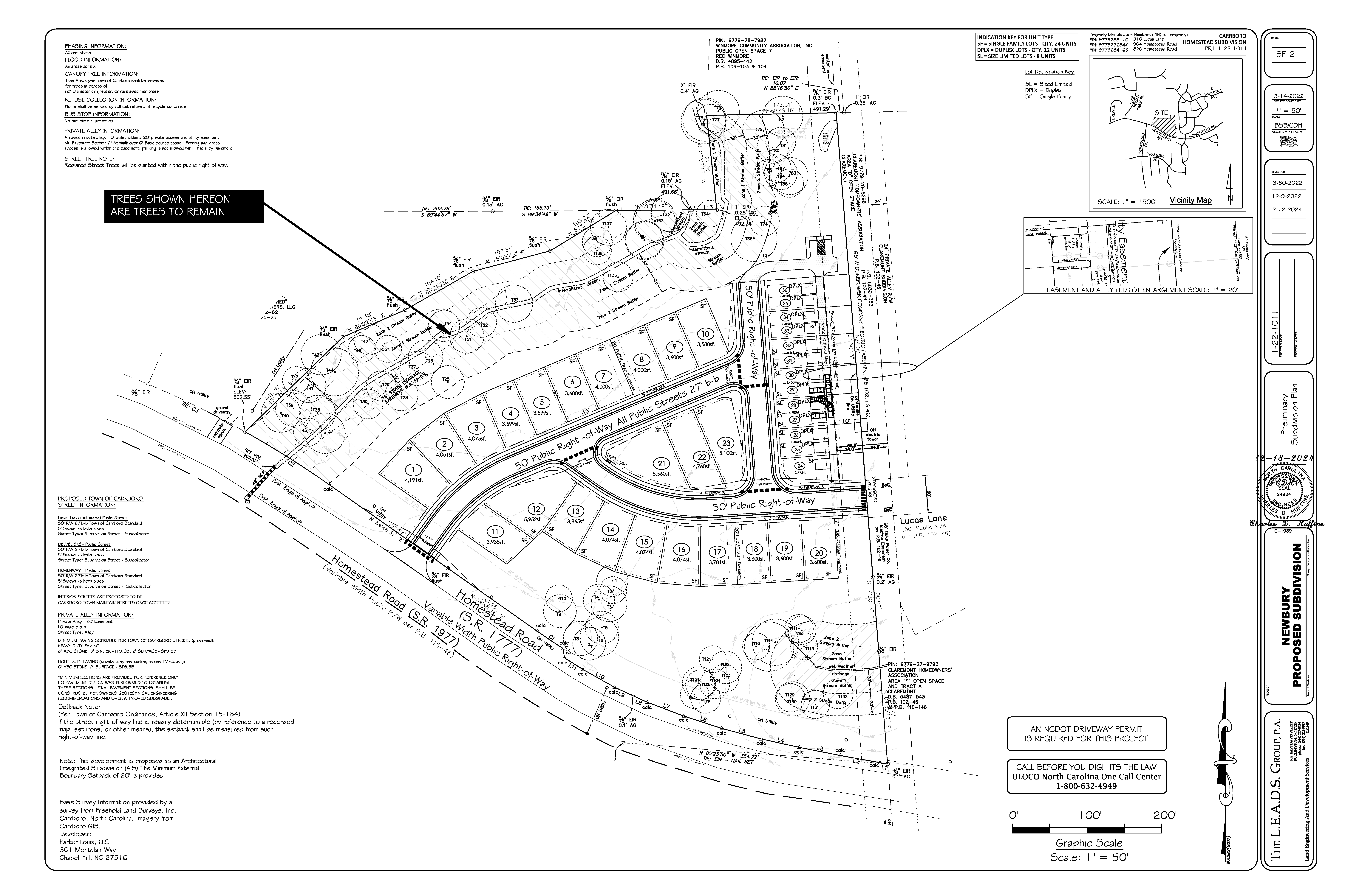
Newbury Subdvision

Approved Residential Project

Newbury Preliminary Site Plan
  • Applicant: Park Louis, LLC Development
  • Address: 902 Homestead, 904 Homestead Rd, and 310 Lucan Ln.
  • Description: 24 single family detached and 12 duplex units on 9.7 acres. Up to 10 accessory dwelling units allowed.
  • Status: Conditional rezoning and SUP-A approved. Construction plans under review.

For further information on this project, please visit the project page on PIPER by clicking here.